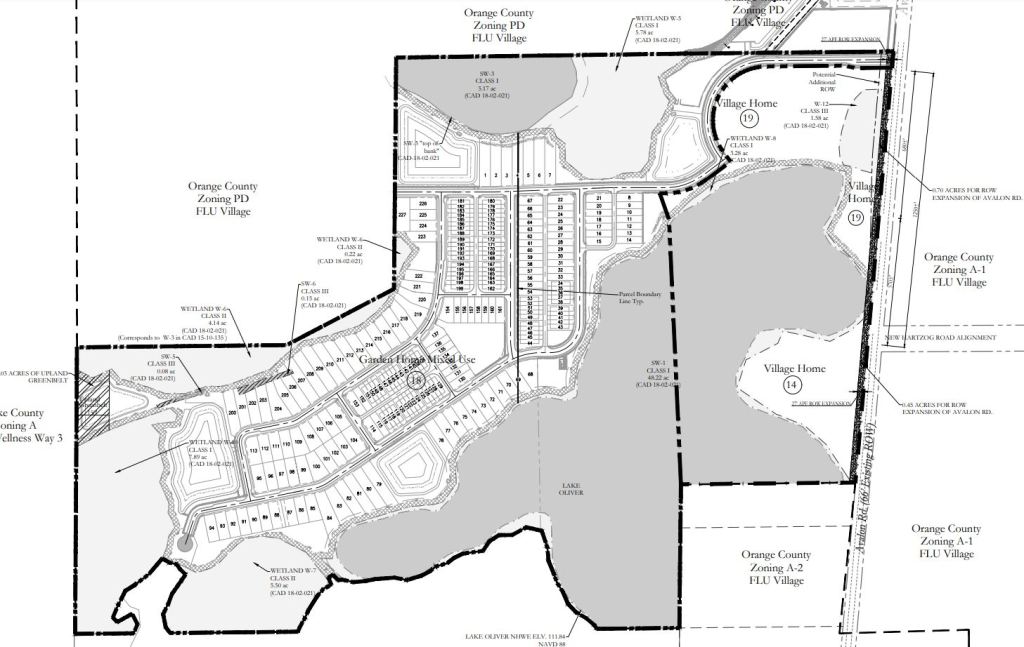
This new community will be just south of MI Homes Encore at Ovation and will feature up to 227 new Horizon West homes in the form of both townhouses and single family homes. The site plan appears to show approximately 17 lakefront homesites on Lake Oliver as well as an open park space. It appears this community will connect to the Encore at Ovation community but will also have it’s own access via Avalon Road. The entrance will likely be across Avalon Road from New Hartzog Road where several new communities are planned including Osprey Ranch, Westhaven at Ovation, and Del Webb Oasis.

With it’s location, Serenade at Ovation will have quick access to Disney World and be just moments from the new commercial development of Flamingo Crossings.
Details are scarce at this stage but we do our best to stay on top of new development here at WinterGardenDreamHome.com. If you’d like to stay in touch or have specific comments or questions please fill the contact form below.
4 thoughts on “227 New Homes are on the way in Ovation Village in Horizon West”